Paul
Antonas
Antonas
C. (242) 427-4432
P. (242) 702-8788
Phone Paul pantonas@bhhsb.com https://www.bhhsbahamasrealestate.com/team/paul-antonas/58/
P. (242) 702-8788
Phone Paul pantonas@bhhsb.com https://www.bhhsbahamasrealestate.com/team/paul-antonas/58/
BERKSHIRE HATHAWAY HOMESERVICE
New Providence
Bahamas
New Providence
Bahamas
Details
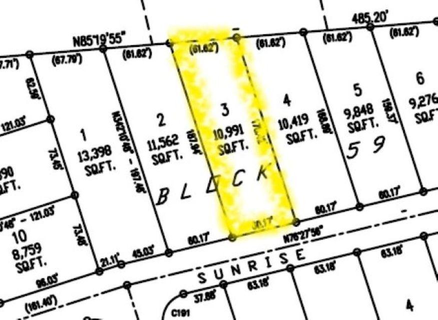
| Address | Sunrise Drive |
| Area | New Providence/Paradise Island |
| Sub Area | Western Road |
| Country | Bahamas |
| Price | BSD 250,000 |
| Property Type | Lots/Acreage |
| Bedrooms | 0 |
| Bathrooms | 0 |
| Floor Space | 10991 Square Feet |
| Lot Size | 0.25 Acres |
| Parking | Open |
| MLS® # | 65712 |
Located in the exclusive gated community of Serenity in Western, New Providence. This large single-family parcel is ideal for the perfect family home.
Listing Courtesy of the Bahamas MLS
Location
Use two fingers to move the map
Street View
Satellite
Use two fingers to scroll demographics
Share to Facebook
Send using WhatsApp
Post to X
Share to Pintrest